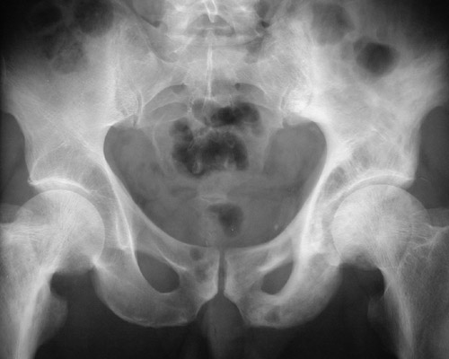
In this example of Paget's disease of bone, there is more extensive bony sclerosis in the region of the hip joint on the left This is the middle to late phase with much osteosclerosis, but also some osteolysis with lucency of the bone.